FIGURE

Fig. S4

ID
ZDB-FIG-151012-7
Publication
Tsai et al., 2015 - Modulation of p53 and met expression by krüppel-like factor 8 regulates zebrafish cerebellar development
Other Figures
All Figure Page
Back to All Figure Page
Fig. S4

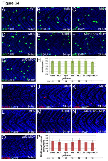
Knockdown of klf8 does not affect cell proliferation or apoptosis in the trunk muscle. (A-G, I-O) Lateral views of embryos and myotomes above the yolk extension are shown. The number of pH3-expressing M phase cells in myotomes at 24 hpf were similar between WT embryos (A), embryos injected with klf8-4mmMO1 (B), klf8-MO1atg (C), klf8-MO2atg (D), or p53 MOsp (G), and embryos co-injected with klf8-MOAC and klf8-MODO (E), or p53 MOsp and klf8-MO1atg (F). (H) Mitotic indices of embryos of the indicated backgrounds. The numbers of TUNEL-positive cells in the myotomes at 24 hpf were similar between WT embryos (I), embryos injected with klf8-4mmMO1 (J), klf8-MO1atg (K), klf8-MO2atg (L), or p53 MOsp (O), and embryos co-injected with klf8-MOAC and klf8-MODO (M), or p53 MOsp and klf8-MO1atg (N). (P) Percentage of TUNEL-positive cells in embryos of the indicated backgrounds. Error bars indicate standard errors.

Expression Data

Expression Detail
Antibody Labeling
Phenotype Data
Fish:
Knockdown Reagents:
Observed In:
Stage: Prim-5

Phenotype Detail
Acknowledgments
This image is the copyrighted work of the attributed author or publisher, and ZFIN has permission only to display this image to its users. Additional permissions should be obtained from the applicable author or publisher of the image. Full text @ Dev. Neurobiol.