IMAGE

Fig. 5.

ID
ZDB-IMAGE-241125-26
Source
Figures for Noble et al., 2024
Image
Figure Caption

Fig. 5.

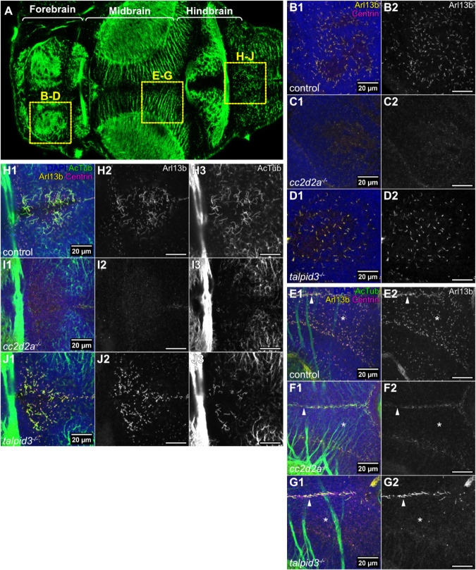
Abnormal cilia in the brain of cc2d2a and talpid3 mutants. (A) Whole-mount confocal image of a 5 dpf zebrafish larva immunostained with anti-acetylated tubulin, providing orientation for the figure. Anterior is to the left and boxes show the analysed brain regions in the subsequent panels. (B-G) Whole-mount maximum projection confocal immunofluorescence images of the forebrain (B-D) and midbrain (E-G), showing primary cilia labelled with anti-Arl13b (Arl13b – yellow) and basal bodies labelled with anti-Centrin (Centrin – magenta) in control (n=12 in B, n=13 in E, N=2), cc2d2a−/− (n=9 in C, n=9 in F, N=1) and talpid3−/− (n=6 in D, n=6 in G, N=2) larvae at 5 dpf. In E-G, Arl13b-positive and acetylated tubulin-positive motile cilia are visible at the midline (indicated with white arrow heads), while asterisks indicate location of Arl13b-positive primary cilia in the midbrain. In both cc2d2a−/− and talpid3−/− larvae, there is a marked reduction in primary cilia. (H-J) Whole-mount maximum projection confocal immunofluorescence images of the hindbrain ventricle, using anti-acetylated tubulin (AcTub – green) and anti-Arl13b (Arl13b – yellow) to label motile cilia and anti-Centrin (Centrin – magenta) to label basal bodies, in control (n=10, N=2), cc2d2a−/− (n=8, N=1) and talpid3−/− (n=6, N=2) larvae at 5 dpf. Motile cilia are reduced in both cc2d2a−/− and talpid3−/− larvae compared to controls. All images show a dorsal view of 5 dpf larvae with anterior to the left. Scale bars: 20 µm. N denotes the number of independent experiments (i.e. larvae from independent clutches) used for analysis. Analyses were carried out using mz cc2d2a−/− and zygotic talpid3−/− mutants.

Acknowledgments
This image is the copyrighted work of the attributed author or publisher, and ZFIN has permission only to display this image to its users. Additional permissions should be obtained from the applicable author or publisher of the image. Full text @ Biol. Open