IMAGE

Figure 5

ID
ZDB-IMAGE-231225-118
Source
Figures for Zhai et al., 2023
Image
Figure Caption

Figure 5

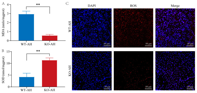
Effect of il-6 mutation on oxidative stress triggered by A. hydrophila infection. (A) MDA and (B) SOD levels in liver tissues. Samples used for enzyme activity (biological replicates = 5, experimental repetitions = 3) were collected 12 h after A. hydrophila infection. Data were subjected to the Student’s t-test to identify the significance. ** p < 0.01. (C) Representative staining of ROS in liver sections. Samples were collected at 12 h after A. hydrophila infection. Frozen tissue sections were used for immunofluorescence detection of ROS. Red fluorescence corresponds to the presence of ROS, while blue fluorescence represents the cell nucleus. Scale bar = 50 μm. WT-AH: WT zebrafish treated with A. hydrophila; KO-AH: il-6−/− zebrafish treated with A. hydrophila.

Figure Data
Acknowledgments
This image is the copyrighted work of the attributed author or publisher, and ZFIN has permission only to display this image to its users. Additional permissions should be obtained from the applicable author or publisher of the image. Full text @ Int. J. Mol. Sci.