IMAGE

Fig. 11

ID
ZDB-IMAGE-220801-253
Source
Figures for Eugenin von Bernhardi et al., 2022
Image
Figure Caption

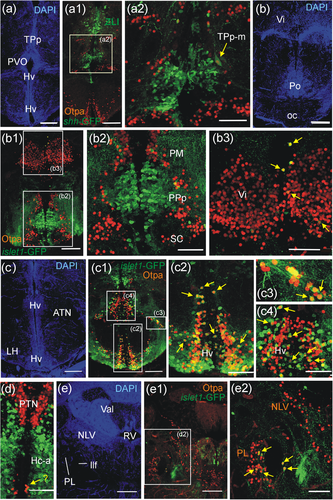
Fig. 11

Confocal microscopic analysis of Otpa-positive cells in adult zebrafish brains of shh-GFP or islet1-GFP transgenic zebrafish line brains shows cellular co-localization of Otpa and shh-GFP in TPp-m cells (a–a2) and of Otpa and islet1-GFP in few midline pallial cells and within Vi (b-b3), massive such co-localization in Hv and some in ATN (c-c4) and Hc-a (d), as well as in PL (e-e2). Abbreviations. ATN, anterior tuberal nucleus; Hc-a, caudal zone of periventricular hypothalamus in front of posterior recess; Hv, ventral zone of periventricular hypothalamus; LH, lateral hypothalamic nucleus; llf, lateral longitudinal fascicle; NLV, nucleus lateralis valvulae; oc, optic chiasma; PL, perilemniscal nucleus; PM, magnocellular preoptic nucleus; Po, preoptic region; PPa/PPp, anterior/posterior parvocellular preoptic nucleus; PTN, posterior tuberal nucleus; PVO, paraventricular organ; RV, rhombencephalic ventricle; SC, suprachiasmatic nucleus; TPp, periventricular nucleus of posterior tuberculum; TPp-m, magnocellular cells of the periventricular posterior tubercular nucleus; Val, valvula cerebelli; Vi, intermediate nucleus of ventral telencephalon

Acknowledgments
This image is the copyrighted work of the attributed author or publisher, and ZFIN has permission only to display this image to its users. Additional permissions should be obtained from the applicable author or publisher of the image. Full text @ J. Comp. Neurol.